Oh dear, some of those Chicago subway lines go (gasp!) outside the city into (chokes back vomit) suburbs! Whoever heard of such a thing?

What's funny is to rotate the Chicago map sideways and realize out entire system is basically the blue line, the pink line and the red line (though the parallels are admittedly imperfect).

And the Transitway has been pushed back beyond 2041 so I think we should be more concerned with how hyperloop vehicles and private space shuttles will dock with the 407 station than buses.
 
  • Like
Reactions: BMO
I don't know why it's hard for people to wrap their heads around the difference between "build it and they will come" and "build it where it makes sense." VMC will definitely intensify. It will definitely be density that would otherwise not have been there and it will house Vaughan residents who would otherwise have lived on the urban fringe, or who knows where. It will be on land that Smart Centres would have turned into something ghastly if policy and the subway hadn't made it worthwhile for them to do something different and genuinely ambitious.

Whether it can truly be a "downtown" for Vaughan, as envisioned, is something that won't be known for decades. North York Centre (which, yes, has missed its jobs targets) has become a vibrant, urban neighbourhood. It took nearly 30 years.

Vaughan's continued growth in a car-dependent sprawl format is unlikely to change with this addition of yet another experiment in bringing costly urban transit to the suburbs. Lets just be real here. If anything, some of council's actions suggest that they aren't actually all that serious about changing the status quo in a meaningful way.



upload_2017-12-19_16-22-29.png
upload_2017-12-19_16-22-49.png


https://www.thestar.com/news/gta/20...money_ahead_of_good_planning_critics_say.html

https://www.thestar.com/news/gta/2016/05/09/vaughan-blasted-for-troubling-environment-record.html




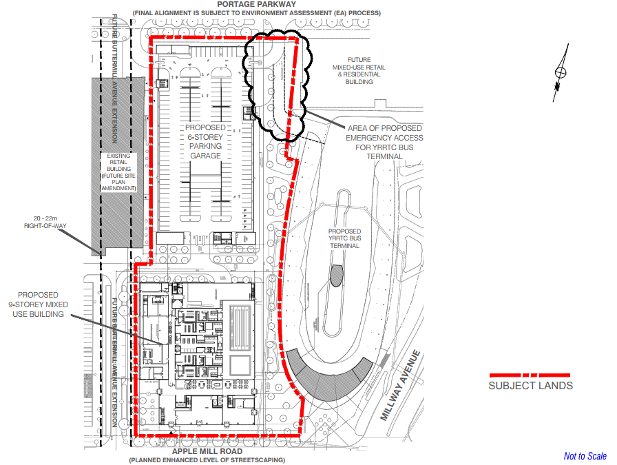
As for VMC itself, whether the intensification will actually translate into ridership will depend heavily on employment density and not forcing an oversupply of parking. Yet right off the bat, they're planning for excess amounts of open space outside the station buildings that should have been set aside as prime development land. And then there's this proposal for a 6 story surface parking garage to serve a 9 storey building that I consider massively undersized for it's location to begin with. Not exactly confidence inspiring if you ask me.


20453-70147.jpg

upload_2017-12-19_16-33-3.png



upload_2017-12-19_14-34-10.png


57a32c4c52383_VMC_aerial.jpeg



Thoughts?
 

Attachments

  • upload_2017-12-19_14-34-10.png
    upload_2017-12-19_14-34-10.png
    267.7 KB · Views: 569
  • 57a32c4c52383_VMC_aerial.jpeg
    57a32c4c52383_VMC_aerial.jpeg
    134.3 KB · Views: 576
  • upload_2017-12-19_16-22-29.png
    upload_2017-12-19_16-22-29.png
    36.1 KB · Views: 547
  • upload_2017-12-19_16-22-49.png
    upload_2017-12-19_16-22-49.png
    23.1 KB · Views: 548
  • upload_2017-12-19_16-33-3.png
    upload_2017-12-19_16-33-3.png
    271.3 KB · Views: 595
The last piece that needs to be added is the Sheppard subway to Downsview. Again, while ridership numbers may not be overwhelming, pure common sense says that a seamless pathway across the top of the city must be useful to many.

In a City with 7 Million people, you'd be hard pressed to come up with an idea that didn't help many people.

Apply "common sense" to your small household purchases. Please don't apply it to items that are going to cost taxpayers billions. We oughta have a more robust process than that.

If we want a RT connection between the two Sheppards, lets save ourselves a few billion dollars and paint some bus lanes. Mind that I'm not even sure if that's necessary; that particular express bus is already pretty speedy.
 
Vaughan's continued growth in a car-dependent sprawl format is unlikely to change with this addition of yet another experiment in bringing costly urban transit to the suburbs. Lets just be real here. If anything, some of council's actions suggest that they aren't actually all that serious about changing the status quo in a meaningful way.



View attachment 130780View attachment 130781

https://www.thestar.com/news/gta/20...money_ahead_of_good_planning_critics_say.html

https://www.thestar.com/news/gta/2016/05/09/vaughan-blasted-for-troubling-environment-record.html




As for VMC itself, whether the intensification will actually translate into ridership will depend heavily on employment density and not forcing an oversupply of parking. Yet right off the bat, they're planning for excess amounts of open space outside the station buildings that should have been set aside as prime development land. And then there's this proposal for a 6 story surface parking garage to serve a 9 storey building that I consider massively undersized for it's location to begin with. Not exactly confidence inspiring if you ask me.


20453-70147.jpg

View attachment 130782


View attachment 130757

View attachment 130766


Thoughts?
Did you ever think that maybe that some of the parking will be for the adjacent YRT bus terminal/subway station? Not to mention even urban centres remain to have parkades for vehicles despite public transit. Parking is one of the easiest land uses to convert.
 
Not really sure where to post this, but apparently SmartREIT is kicking out the Walmart at VMC.

Walmart is actively looking for a replacement location.
 
In a City with 7 Million people, you'd be hard pressed to come up with an idea that didn't help many people.

Apply "common sense" to your small household purchases. Please don't apply it to items that are going to cost taxpayers billions. We oughta have a more robust process than that.

If we want a RT connection between the two Sheppards, lets save ourselves a few billion dollars and paint some bus lanes. Mind that I'm not even sure if that's necessary; that particular express bus is already pretty speedy.

The main benefit to such a connection is from an operational perspective. It becomes much easier to move trains from Wilson Yard to Yonge or Sheppard (and yes, it does make the lines look prettier on a map, but of course it's not worth spending billions just for that).
 
Vaughan's continued growth in a car-dependent sprawl format is unlikely to change with this addition of yet another experiment in bringing costly urban transit to the suburbs. Lets just be real here. If anything, some of council's actions suggest that they aren't actually all that serious about changing the status quo in a meaningful way.



View attachment 130780View attachment 130781

https://www.thestar.com/news/gta/20...money_ahead_of_good_planning_critics_say.html

https://www.thestar.com/news/gta/2016/05/09/vaughan-blasted-for-troubling-environment-record.html




As for VMC itself, whether the intensification will actually translate into ridership will depend heavily on employment density and not forcing an oversupply of parking. Yet right off the bat, they're planning for excess amounts of open space outside the station buildings that should have been set aside as prime development land. And then there's this proposal for a 6 story surface parking garage to serve a 9 storey building that I consider massively undersized for it's location to begin with. Not exactly confidence inspiring if you ask me.



View attachment 130782


View attachment 130757

View attachment 130766


Thoughts?

Um..as much as I hate the parking garage, it will serve the residents of 2, 55 storey buildings, which you neglected to show in your analysis
 
The main benefit to such a connection is from an operational perspective. It becomes much easier to move trains from Wilson Yard to Yonge or Sheppard (and yes, it does make the lines look prettier on a map, but of course it's not worth spending billions just for that).
Our rapid transit network lacks redundancy. Line 1 closures wouldn't be such a pain if there's a relief line (helps for Yonge closures) and a proper rapid transit connection in the north end connecting the two sides of line 1 (helps for Yonge or Spadina closures).
 
  • Like
Reactions: BMO
The main benefit to such a connection is from an operational perspective. It becomes much easier to move trains from Wilson Yard to Yonge or Sheppard (and yes, it does make the lines look prettier on a map, but of course it's not worth spending billions just for that).

Our rapid transit network lacks redundancy. Line 1 closures wouldn't be such a pain if there's a relief line (helps for Yonge closures) and a proper rapid transit connection in the north end connecting the two sides of line 1 (helps for Yonge or Spadina closures).

My question is whether or not the centre portion of the Finch LRT will be necessary if the Sheppard West Subway Extension happened:
Finch and Sheppard Centre.jpg

Yes, it would be a nice to have, but it would be a bit "too redundant" if both were to exist.
 

Attachments

  • Finch and Sheppard Centre.jpg
    Finch and Sheppard Centre.jpg
    291 KB · Views: 570
Our rapid transit network lacks redundancy. Line 1 closures wouldn't be such a pain if there's a relief line (helps for Yonge closures) and a proper rapid transit connection in the north end connecting the two sides of line 1 (helps for Yonge or Spadina closures).
I've always thought the Sheppard connection had merit because of the needed redundancy in the network and for east-west access to York U, and Yorkdale which are big employers.
 
Our rapid transit network lacks redundancy. Line 1 closures wouldn't be such a pain if there's a relief line (helps for Yonge closures) and a proper rapid transit connection in the north end connecting the two sides of line 1 (helps for Yonge or Spadina closures).

Redundancy is nice, but it shouldn’t be a primary motivator for spending billions on a line. If we invested the money in keeping Line 1 operating properly, we wouldn’t need redundancy in the first place.

Unfortunately investing money in subway operations isn’t as sexy as building expensive, and often underutilized, subway lines.
 
My question is whether or not the centre portion of the Finch LRT will be necessary if the Sheppard West Subway Extension happened:
View attachment 130795
Yes, it would be a nice to have, but it would be a bit "too redundant" if both were to exist.

It probably would be necessary.

An important lesson we learned with the opening of Line 2 is that new subway lines do a poor job of attracting ridership from parallel surface routes

When Line 2 opened, the TTC originally planned to drastically cut service on parallel service routes, such as Queen. To their surprise, the new subway hardly had any impact on the ridership of parallel routes, and service had to be restored.

Finch is a whole two kilometres from Sheppard, and Finch’s bus ridership is predominantly local in nature. That won’t change if the Sheppard Line was extended to Dowsview. Finch would probably still be the most used bus route in the city, and the LRT would still be said.
 

Back
Top